04-14
運動健身
04-14
「寶島之光」林承學領航AI金融新紀元04-14
快訊/金正恩再秀火力 北韓崔賢號試射艦載飛彈北韓官方媒體今(14日)報導,金正恩在12日監督了新的飛彈測試,從一艘海軍驅逐艦上發射戰略巡弋飛彈和反艦飛彈。兩枚戰略巡弋飛彈各飛行約7,900秒。
04-14
荷莫茲海峽緊張 巴西原油重要性日增美軍封鎖伊朗港口,荷莫茲海峽再度陷入緊張,國際油價逼近每桶100美元。巴西原油隨著中國近期大幅增加採購,在全球供應鏈中的地位日益攀升。
04-12
職場愛情都開花!4星座迎桃花+升職機會春風拂柳、萬物復甦,四月氣息漸暖。根據《搜狐網》分析指出,從4月中旬開始,部分星座運勢明顯升溫,不僅桃花旺盛,事業與財運也同步走強。
04-12
女兒被誤認成童工遭網出征 單親闆娘哽咽嘉義市一間24小時營業的飲料店,近日遭網友爆料疑似雇用童工,掀起熱烈討論,店家更因此被撻伐、留下1星負評。對此,嘉義市議員顏翎熹介入了解,才得知業者其實是單親。
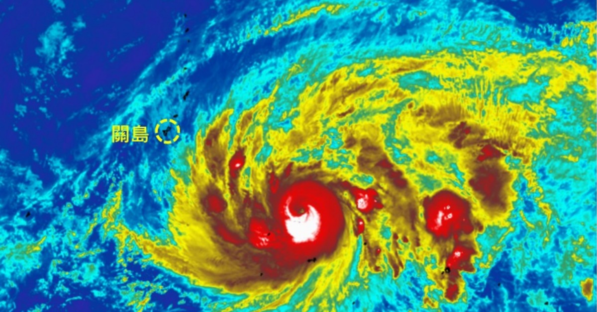
今年第4號颱風辛樂克(SINLAKU)持續增強!天氣風險公司資深顧問吳聖宇指出,辛樂克清晰的颱風眼已經浮現,已快達到強烈颱風等級。「氣象應用推廣學會」專欄提醒,
風電鑄件大廠永冠-KY(1589)驚傳財務危機,由於簽證會計師無法取得評估資料完成查核程序,導致114年度財報無法如期出具,已自今年4月7日起停止交易。
04-09
辛樂克颱風今晚生成機率達80%!專家揭對台影響隨著關島東南方附近的熱帶性低氣壓TD04持續增強,氣象專家賈新興今(9)日預估,這個熱帶性低氣壓最快在今晚就有高達8成以上的機率,發展為今年第4號颱風。
美國與伊朗在最後一刻達成為期兩週的停火協議,提振了市場情緒,美國股市主要指數今天收盤勁揚,道瓊大漲逾1300點,漲幅高達2.85%。













